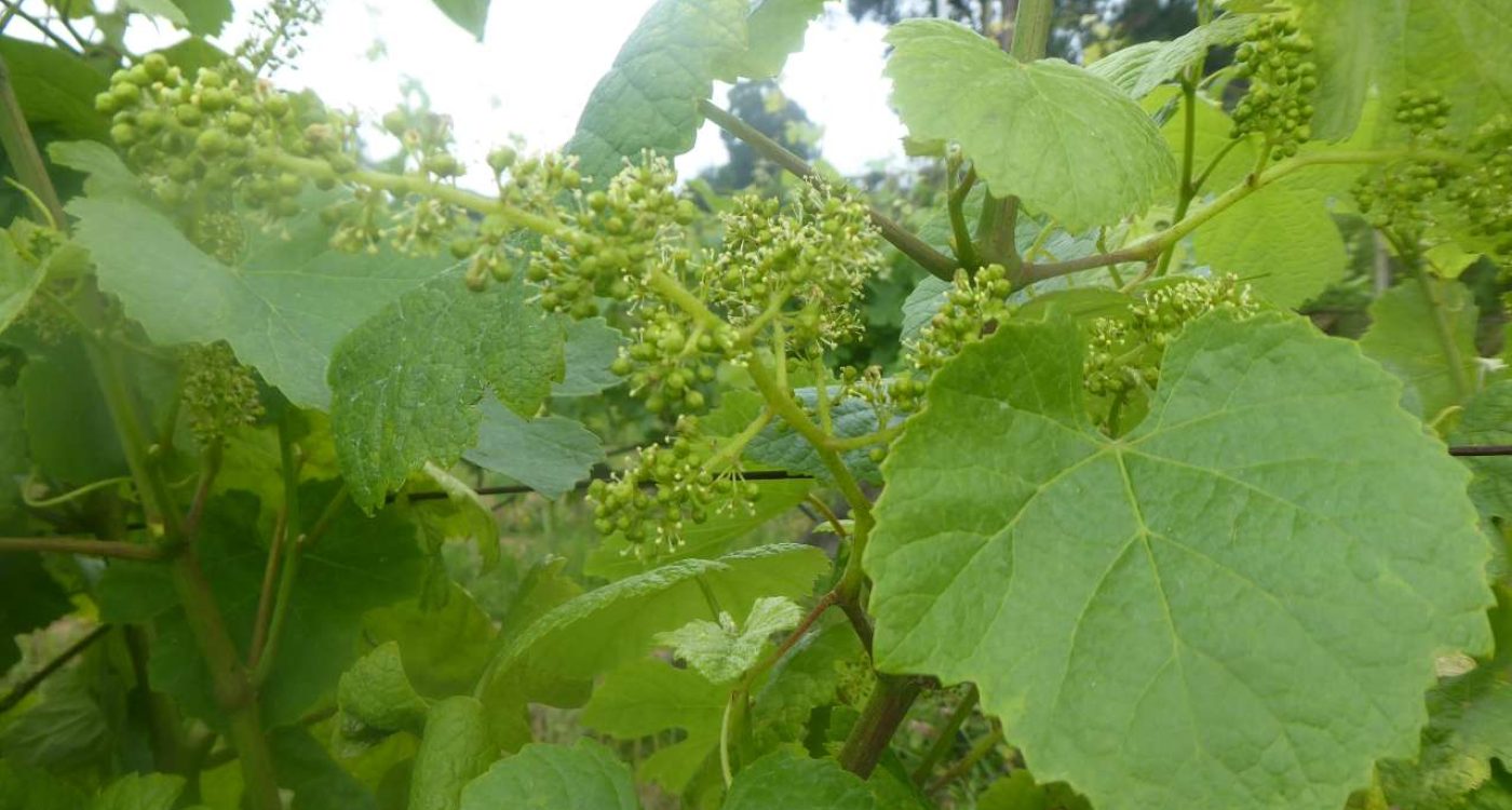
No âmbito do projecto Divulgar BIO, financiado pelo PDR2020, a ADER-SOUSA organizou uma visita no dia 1 de Junho à Fruit’Art, unidade de produção e comercialização de framboesa em modo de produção biológico, e à Quinta da Palmirinha, unidade de produção e transformação de uvas em modo de produção biodinâmica.
Estiveram presentes na visita as entidades parceiras do projecto, designadamente a Escola Superior Agrária de Coimbra – ESAC, o Centro Operativo e Tecnológico Hortofrutícola Nacional -COTHN, as Associações de Desenvolvimento Douro Superior e Pinhal Maior, assim como produtores dos respectivos territórios, num total de 25 participantes.
A realização da visita proporcionou às entidades e produtores participantes a troca de conhecimento, experiências e a aprendizagem através da observação de dois casos concretos em dois modos de produção sustentáveis e respeitadores do ambiente, que dão origem a produtos saudáveis. A motivação dos participantes foi bem visível através do interesse demonstrado e das questões colocadas que foram sendo esclarecidas a partir de casos concretos, designadamente mobilização, fertilização, solo, compostagem, utilização de animais, doenças e pragas, formas de tratamento, polinização, colheita, mão-de-obra, cuidados a atender no processo de certificação, modo de apresentação do produto final, circuitos de comercialização, entre outros. A informação obtida será fundamental para os manuais a elaborar no âmbito do projecto.
Manifestamos publicamente o nosso agradecimento ao Dr.º Jorge Mosqueira e ao Dr.º Victor Queiroz – da Fruit’Art e ao Prof. Fernando Paiva da Quinta da Palmirinha pela disponibilidade e forma como nos receberam.
Brevemente será realizada outra visita a unidades de produção/transformação do território de um dos outros parceiros.










